(Dân trí) – Cơ quan khí tượng thủy văn dự báo ngày 3/10, áp thấp nhiệt đới sẽ mạnh lên thành bão. Đêm cùng ngày bão sẽ đi
Tag: Dự Báo Thời Tiết
Video: Dự báo thời tiết đêm nay và ngày mai 29/9/2025: Bão số 10 đổ bộ vào đất liền
Bão số 10 đang gây sóng cao trên Biển Đông, gió giật dữ dội. Trên đất liền, miền Trung từ Thanh Hóa đến Quảng Trị mưa đặc biệt
Dự báo bão Bualoi vào tỉnh nào đầu tiên, khi nào Hà Nội bắt đầu chịu ảnh hưởng?
HHTO – Bão số 10 Bualoi vẫn đang di chuyển theo hướng như cũ, tiến đến gần miền Trung nước ta, khiến nhiều khu vực đang có mưa
Ba tỉnh miền Trung cho học sinh nghỉ học ngày 29/9 để tránh bão Bualoi
Sở GD&ĐT các tỉnh Quảng Trị, Nghệ An, Thanh Hóa quyết định cho học sinh nghỉ học vào ngày mai (29/9) để đảm bảo an toàn khi bão
Tin bão số 10 mới nhất: Cách TP Đà Nẵng khoảng 130km, dự báo khu vực bão đổ bộ
(ĐS&PL) – Từ ngày 28-30/9, ở Bắc Bộ và khu vực từ Thanh Hóa đến Quảng Ngãi có mưa lớn diện rộng với tổng lượng mưa phổ biến 100-300
Đề xuất cân nhắc cho học sinh nghỉ học sáng thứ 2 tuần tới
Thứ trưởng Nguyễn Hoàng Hiệp đề nghị các địa phương nghiên cứu cho học sinh nghỉ học vào sáng thứ Hai (29/9) nhằm đảm bảo an toàn tuyệt
“Lịch trình” di chuyển của bão Bualoi
(Dân trí) – Cơ quan khí tượng dự báo có thể rạng sáng 29/9, bão Bualoi sẽ đổ bộ đất liền nước ta, phạm vi từ Nghệ An
Bão Bualoi có khả năng tiếp tục tăng cấp khi vào Biển Đông
(Dân trí) – Dự báo sau khi vào Biển Đông, bão Bualoi di chuyển nhanh theo hướng Tây Bắc, hướng về khu vực quần đảo Hoàng Sa, cường
Đêm mai, Biển Đông đón bão số 10 Bualoi rất mạnh, có thể giật cấp 16
Bão Bualoi khả năng sẽ đi vào Biển Đông trong đêm 26.9. Đây là cơn bão rất mạnh, cường độ khó đoán định, liên tục tăng giảm cấp. Theo
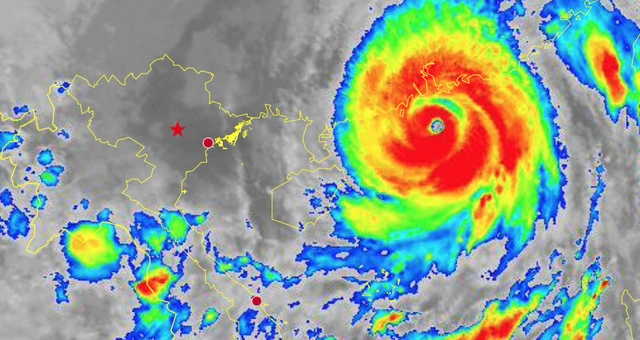
Siêu bão Ragasa cách Quảng Ninh 650 km, Biển Đông bão chồng bão
Lúc 5 giờ sáng 24.9, tâm siêu bão Ragasa còn cách Móng Cái (Quảng Ninh) chỉ 650 km. Trong khi đó, áp thấp nhiệt đới phía đông Philippines