Công điện số 11/CĐ-UBND của Chủ tịch UBND tỉnh Ninh Bình về việc tập trung ứng phó với bão số 9 (siêu bão Ragasa)

Theo dự báo của Trung tâm dự báo khí tượng thủy văn quốc gia, hồi 04 giờ ngày 24 tháng 9 năm 2025, vị trí tâm bão ở vào khoảng 21,3 độ vĩ bắc; 114,3 độ kinh đông, trên vùng biển phía Bắc của khu vực Bắc Biển Đông, cách Móng Cái (Quảng Ninh) khoảng 650km về phía Đông, sức gió mạnh nhất vùng gần tâm bão mạnh cấp 15-16 (167-201km/giờ), giật trên cấp 17. Bão di chuyển theo hướng Tây Tây Bắc với tốc độ khoảng 20km/h. Dự báo trong ngày 25 tháng 9 bão đổ bộ trực tiếp vào đất liền khu vực Bắc Bộ nước ta

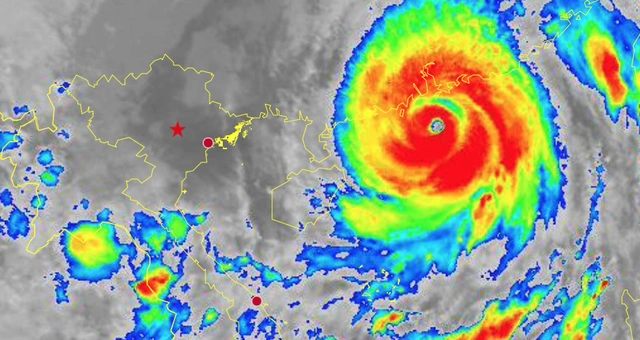
Bản đồ dự báo quỹ đạo và cường độ bão số 9 phát lúc 4h00 ngày 24/9/2025. Ảnh: Trung tâm Dự báo Khí tượng Thủy văn Quốc gia

Thực hiện Công điện số 171/CĐ-TTg ngày 23/9/2025 của Thủ tướng Chính phủ về việc tập trung triển khai công tác ứng phó với bão số 9 (siêu bão Ragasa); để chủ động ứng phó bão số 9, bảo đảm tuyệt đối an toàn tính mạng cho người dân, giảm thiệt hại về tài sản của Nhân dân và Nhà nước, Chủ tịch UBND tỉnh yêu cầu:

1. Thủ trưởng các sở, ban, ngành, đơn vị của tỉnh; Chủ tịch UBND các xã, phường thực hiện nghiêm túc, quyết liệt, hiệu quả các nội dung theo chỉ đạo của Thủ tướng Chính phủ tại Công điện số 170/CĐ-TTg ngày 22/9/2025, Công điện số 171/CĐ-TTg ngày 23/9/2025; Văn bản số 7011/BNNMT-ĐĐ ngày 23/9/2025 của Bộ Nông nghiệp và Môi trường về việc triển khai công tác đảm bảo an toàn hệ thống đê điều ứng phó với bão số 9 và mưa lũ (có gửi kèm theo) và các văn bản của UBND tỉnh: Văn bản số 185/UBND-VP3 ngày 20/9/2025, Văn bản số 188/UBND-VP3 ngày 21/9/2025, Công điện số 10/CĐ-UBND ngày 22/9/2025 về việc chủ động ứng phó với siêu bão Ragasa.

2. Các đồng chí Bí thư, đồng chí Chủ tịch UBND các xã, phường, đặc biệt là các xã ven biển không được lơ là, chủ quan; tổ chức theo dõi, cập nhật, nắm chắc tình hình. Tập trung lãnh đạo, chỉ đạo triển khai các biện pháp ứng phó với siêu bão, trong đó tập trung: (i) bảo đảm tuyệt đối an toàn tính mạng Nhân dân, nhất là người già, trẻ em, học sinh, các đối tượng yếu thế khác; (ii) bảo đảm an toàn đối với tàu thuyền hoạt động trên biển, ven biển (bao gồm cả phương tiện hoạt động khai thác, đánh bắt thủy hải sản, tàu vận tải, tàu du lịch,…), các hoạt động trên biển, ven biển và trong đất liền; (iii) bảo vệ nhà cửa, kho tàng, nhà xưởng, trụ sở cơ quan, đơn vị, cơ sở giáo dục, y tế, hệ thống đê điều, hồ đập, công trình cơ sở hạ tầng, hoạt động sản xuất kinh doanh, nhất là sản xuất nông nghiệp, nuôi trồng thủy sản trên biển, ven biển với phương châm là “xanh nhà hơn già đồng” (iv) rà soát phương án, sẵn sàng tổ chức sơ tán, di dời dân cư để bảo đảm an toàn trước khi bão đổ bộ, triển khai công tác cứu hộ, cứu nạn khi có tình huống xấu xảy ra. Đồng chí Bí thư, Chủ tịch UBND các xã, phường chịu trách nhiệm trước Thường trực Tỉnh ủy, Chủ tịch Ủy ban nhân dân tỉnh nếu để xảy ra thiếu trách nhiệm trong tham mưu, lãnh đạo, chỉ đạo gây thiệt hại về tính mạng và tài sản của Nhân dân.

– Kiểm tra, rà soát và triển khai trên thực tế phương án hộ đê, bảo vệ trọng điểm đê điều xung yếu, các vị trí đã xảy ra sự cố nhưng chưa được xử lý, khắc phục, các công trình đê điều đang thi công dở dang để đảm bảo an toàn, trong đó đặc biệt lưu ý các tuyến đê/đoạn đê xung yếu trực diện biển (như tuyến đê biển Cồn Tròn, Hải Thịnh; đê biển Bình Minh III, IV).

– Tăng cường công tác kiểm tra các tuyến đê biển, đê sông, thực hiện nghiêm công tác tuần tra, canh gác bảo vệ đê điều trong mùa mưa lũ theo quy định tại Thông tư số 01/2009/TT-BNN ngày 06/01/2009 của Bộ Nông nghiệp và Phát triển nông thôn (nay là Bộ Nông nghiệp và Môi trường) để kịp thời phát hiện và xử lý các sự cố, tình huống có thể xảy ra ngay từ giờ đầu.

– Tạm dừng hoạt động các tuyến đò ngang, đò dọc từ 18h00 ngày 24/9/2025 đến khi bão tan.

3. Các xã ven biển phối hợp với Ban chỉ huy Bộ đội Biên phòng tỉnh thực hiện cấm biển từ 12h00 ngày 24/9/2025; thông báo cho các chủ phương tiện tàu, thuyền đang hoạt động trên biển, ven biển tìm nơi neo đậu, tránh trú an toàn; tổ chức sắp xếp tàu thuyền tại nơi neo đậu xong trước 18h00 ngày 24/9/2025; quyết định triển khai phương án di dân khu vực cửa sông, ven biển, khu vực dân cư sinh sống, hoạt động tại các bãi sông, khu vực có nguy cơ sạt lở, không đảm bảo an toàn đến nơi tránh trú an toàn xong trước 18h00 ngày 24/9/2025.

4. Giám đốc Sở Nông nghiệp và Môi trường chỉ đạo các cơ quan chuyên môn tăng cường: (i) phối hợp với Đài Khí tượng thủy văn tỉnh cập nhật dự báo, cung cấp thông tin đầy đủ, chính xác nhất về diễn biến, tác động của bão, cảnh báo kịp thời để cơ quan chức năng và Nhân dân biết, chủ động triển khai công tác ứng phó phù hợp, hiệu quả; (ii) triển khai công tác bảo đảm an toàn cho tàu thuyền hoạt động thủy sản, bảo vệ đê điều, hồ đập thủy lợi và sản xuất nông nghiệp, nhất là nuôi trồng thủy sản trên biển; phối hợp chỉ đạo vận hành an toàn, hiệu quả các hồ chứa, tránh nguy cơ mất an toàn hồ đập. Tổ chức theo dõi chặt chẽ tình hình, thường xuyên cập nhật, thông báo khu vực nguy hiểm trên biển. Đôn đốc các ngành, các địa phương triển khai công tác ứng phó với bão phù hợp với tình hình thực tế, kịp thời báo cáo, đề xuất Ban chỉ huy phòng thủ dân sự tỉnh, Chủ tịch UBND tỉnh chỉ đạo những vấn đề vượt thẩm quyền.

5. Chỉ huy trưởng Bộ Chỉ huy Quân sự tỉnh, Giám đốc Công an tỉnh tiếp tục chỉ đạo công tác bảo đảm an toàn đối với lực lượng, phương tiện, trang thiết bị của quân đội, công an; chỉ đạo các đơn vị đóng trên địa bàn có nguy cơ ảnh hưởng của bão rà soát phương án, chủ động bố trí lực lượng, phương tiện sẵn sàng hỗ trợ địa phương triển khai công tác ứng phó với bão, nhất là hỗ trợ sơ tán, di dời dân cư, cứu hộ cứu nạn khi có yêu cầu.

6. Giám đốc các Sở: Xây dựng, Công Thương, Văn hóa và Thể thao, Du lịch, Khoa học và Công nghệ, Giáo dục và Đào tạo, Y tế theo chức năng, nhiệm vụ, thẩm quyền chủ động chỉ đạo, đôn đốc triển khai các biện pháp hiệu quả ứng phó với siêu bão để bảo vệ cho lực lượng, phương tiện, trang thiết bị, cơ sở vật chất thuộc lĩnh vực quản lý.

7. Tổng biên tập Báo và Phát thanh, truyền hình tỉnh chỉ đạo tăng cường thông tin về diễn biến, tác động và mức độ nguy hiểm của siêu bão Ragasa để người dân nắm được thông tin về diễn biến bão, chỉ đạo của Chính phủ, Thủ tướng Chính phủ, Chủ tịch UBND tỉnh và các cơ quan chức năng ở trung ương và địa phương nhằm chủ động thực hiện các biện pháp ứng phó, hạn chế thiệt hại do thiên tai; hướng dẫn người dân kỹ năng ứng phó với bão để giảm thiệt hại.

8. Các đồng chí thành viên Ban Chỉ huy phòng thủ dân sự tỉnh căn cứ theo tình hình, diễn biến của bão chủ động xuống địa bàn được phân công triển khai phương án chống bão.

Yêu cầu Thủ trưởng các sở, ban, ngành, đơn vị của tỉnh; Chủ tịch UBND các xã, phường tập trung chỉ đạo triển khai thực hiện./.

Nguồn: https://nbtv.vn/cong-dien-so-11-cd-ubnd-cua-chu-tich-ubnd-tinh-ninh-binh-ve-viec-tap-trung-ung-pho-voi-bao-so-9-sieu-bao-ragasa-96175.html?fbclid=IwY2xjawNAM-BleHRuA2FlbQIxMABicmlkETFISEk2ZnV5dWMzWFNTNGpWAR68gY9OvfSLZp9-zy6aJQkUfTXm_SowyQ7gTcGTsPDfhMiWS5_344zga2IqAA_aem_IJfnBFGymxfVMBEx64J9Og

Leave a Reply

Your email address will not be published. Required fields are marked *